Pilot Information

Information for Pilots

  • Pilots Lounge: Yes
  • Flight Service: ALBQ 122.4 and 122.15
  • AWOS: 575-388- 5947, 126.725 MHz
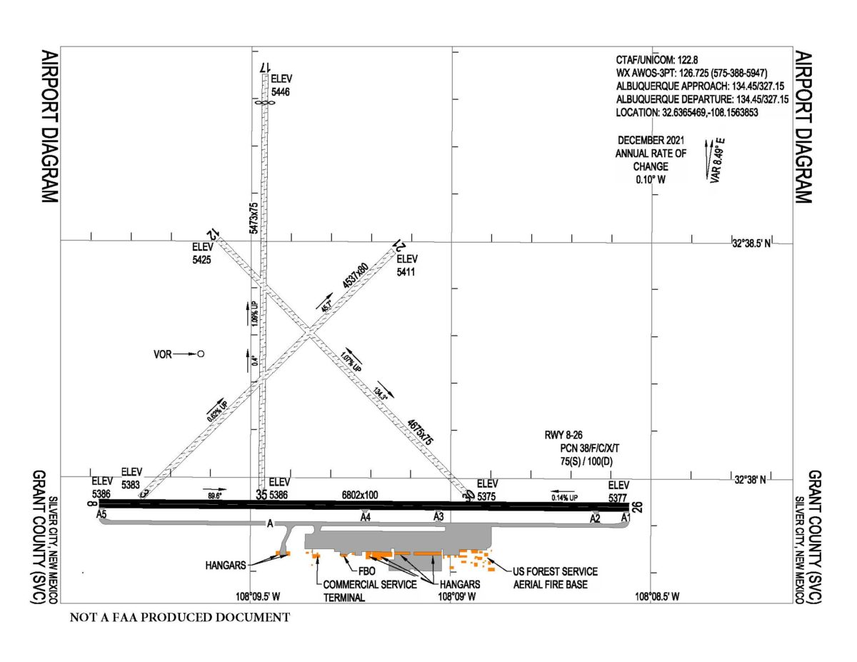
  • Elevation: 5446 Surveyed
  • UNICOM: 122.8
  • Runway Surface, 08/26: Asphalt
  • Runway Length: 6,802
  • Lighted: Yes- Radio Controlled Intensity (medium)
  • Weather: 800-992-7433 (Wx Brief)
  • ABQ ARTCC: 132.65
  • Runway End Coordinates 08: Lat 32-37- 56.7290N; Lon108-09- 54.9540W
  • Runway End Coordinates 26: Lat 32-37- 56.4760N; Lon 108-08- 35.4370W
  • Fuel Services: PHILLIPS 66
  • 100 LL Self Service: 24/7
  • Jet W/ Prist Full Service - call for details

Grant County provides Phillips Aviation Jet-A and Avgas fuels and is owned by Grant County.

View Airport Diagram (PDF).

  1. 1 Airport Diagram – December 2021
  2. 2 Aerial View of Grant County Airport
  3. 3 Airport Runway - View looking North from the Apron